اضغط ⬆️ ثم "إضافة للشاشة الرئيسية"

إجلاء الآلاف وإغلاق المطارات .. فيتنام تتأهب لاقتراب "بوالوي"

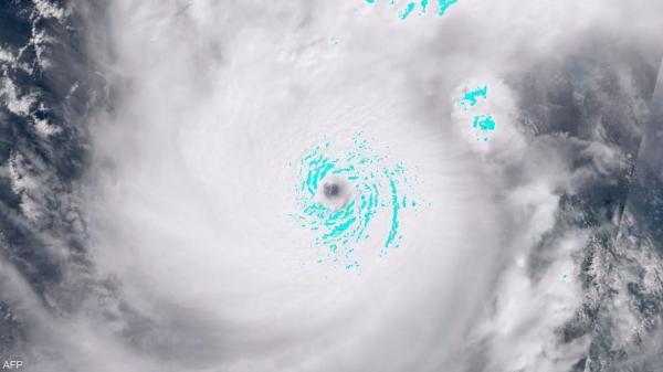
إجلاء الآلاف وإغلاق المطارات .. فيتنام تتأهب لاقتراب بوالوي
أخبار البلد -   أغلقت فيتنام المطارات وأجلت آلاف الأشخاص في المناطق التي يحتمل أن تتأثر بالإعصار بوالوي الذي زادت قوته بينما يتجه للبلاد، وذلك بعد أيام من تسببه في مقتل 10 على الأقل وفيضانات واسعة النطاق في الفلبين.

وذكرت وكالة الأرصاد الجوية الفيتنامية أن من المتوقع وصول الإعصار، الذي بلغت سرعة رياحه 133 كيلومترا في الساعة 02:00 بتوقيت غرينتش، إلى اليابسة في وسط فيتنام في وقت متأخر من اليوم الأحد، أي قبل الوقت المتوقع من قبل نظرا لسرعة تحركه.

وقالت الحكومة إن السلطات في إقليم ها تنه بوسط البلاد بدأت في إجلاء أكثر من 15 ألف شخص، مضيفة أن آلاف الجنود على أهبة الاستعداد.

وقالت هيئة الطيران المدني الفيتنامية إنه تم تعليق العمليات في 4 مطارات ساحلية اعتبارا من اليوم الأحد، بما في ذلك مطار دانانغ الدولي، وعدلت مواعيد إقلاع عدد من الرحلات الجوية.

وأوضحت الحكومة أن الأمطار الغزيرة تسببت بالفعل في حدوث فيضانات في هيو وكوانغ تري.

وكالات
شريط الأخبار بين الغلاء والبحث عن بدائل.. كيف تبدو عطلة العيد والصيف في الأردن و6 دول عربية؟ الأرصاد: أجواء ربيعية معتدلة خلال عطلة عيد الأضحى في أغلب المناطق اختتام أعمال البرنامج التدريبي إدارة القيمة والاستثمار: تقييم الشركات وقياس الأداء المالي باستخدام Value Creation & Investment EVA هام جدًا للعاملات الإثيوبيات في الأردن تغييرات كبيرة تطال رئيس وأعضاء مجلس إدارة قناة المملكة... سير ذاتية "الأعلى للسكان": توقع دخول مليون مركبة جديدة إلى طرق الأردن خلال 8 إلى 10 سنوات السيرة الذاتية لمهنَّد حسين الصَّفدي مدير عامَّ المؤسَّسة الإذاعة والتلفزيون الأردنية الصفدي مديرًا عامًا للتلفزيون الأردني والفانك أمينًا عامًا لوزارة التخطيط وحجازي مديراً للمؤسَّسة الأردنيَّة لتطوير المشاريع الاقتصاديَّة الحكومة تقر مشروع قانون معدِّل لقانون الجامعات يخفض أعضاء مجالس الأمناء موظفو شركة الأسواق الحرة الأردنية يحتفلون بمناسبة عيد الاستقلال الأردني الـ80 "البوتاس العربية" تبحث مع مصنعي ومنتجي منتجات البحر الميت مقر "خاتم الأنبياء": الأجانب لا مكان لهم بالخليج.. وجاهزون لـ"رد جهنمي" 200 ألف مهندس في المملكة.. والنسبة هي العليا عالميا الخبير الصيدلاني الجعافرة وأسئلة تحتاج إلى إجابات عن بنك الدواء ومهامه وأسباب ترخيصه والهدف من نشاطاته؟ المنارة الإسلامية للتأمين تحتفل بعيد الاستقلال وتؤكد الاعتزاز بالوطن وقيادته (صور) شركة التجمعات الاستثمارية المتخصصة تحتفل بالذكرى الثمانين لاستقلال المملكة الأردنية الهاشمية "شاهد الصور" الملك يبحث مع وزير الخارجية الفنزويلي المستجدات الإقليمية والدولية استمرار تقديم خدمات تجديد جوازات السفر خلال عطلتي عيدي الاستقلال والأضحى إحالة 15 موظفا في وزارة المالية إلى القضاء بتهمة الاختلاس كورنيش البحر الميت مجانا للعائلات خلال عيد الاستقلال وأيام عيد الأضحى